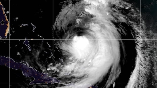
Hurricane Erin will bring some wind and strong waves to the Atlantic region over the next few days, but will likely be too far offshore to bring rain.
As of Tuesday morning, Erin was a Category 3 hurricane, and is set to curve northward over the next few days.
CBC meteorologist Ryan Snoddon said there continues to be good agreement among the forecasting models that the hurricane will track south of the Maritimes and Newfoundland this weekend.
However, the storm is expected to grow in size over the next two to three days and will be very large as it tracks through the region.
Even though the centre of the storm will likely be well to the south, Atlantic Canada may still feel the storm passing through, Snoddon said.
Increasingly gusty northeasterly winds are looking set for Friday into Saturday for the southern Maritimes, and for Saturday into Sunday for southeastern Newfoundland.
It’s also likely the Atlantic coastline of Nova Scotia and the southeast coast of Newfoundland will experience pounding waves Friday and Saturday, with the threat of dangerous rip currents, Snoddon said.







